






фото · 1 із 7

Дивитися всі фото
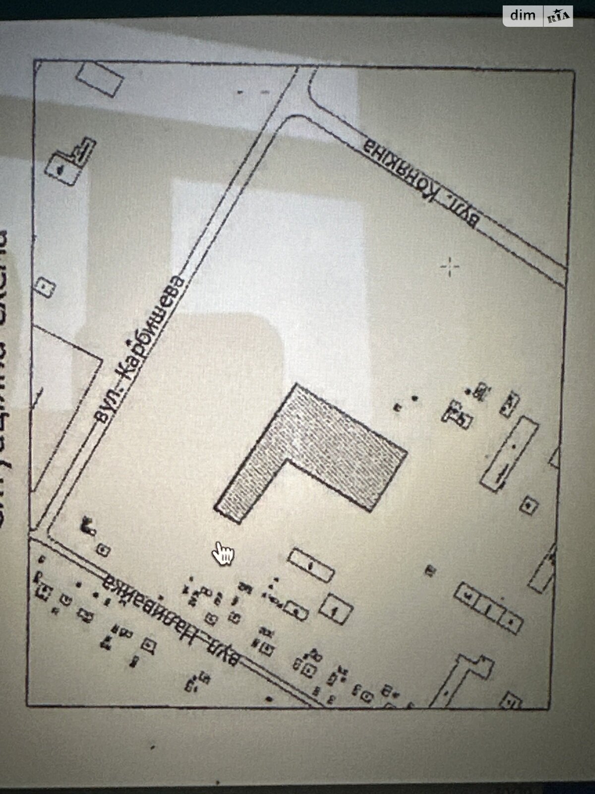
Дивитися на мапі
Продаж земельної ділянки комерційного призначення на вул. Конякіна, площа 50 соток • ID 32611766
250 000 $ за об'єкт · 10 600 000 грн · 5 000 $
за сотку
Перевірена ділянка
продавець надав документ про ділянку
Перевірено за кадастровим номером
Дата перевірки 4 лют.
- Загальна площа 50 соток
- Цільове призначення: промисловості
- План меж земельної ділянки
- Пропозиція від власника
Опис від продавця
- Кадастровий номер 0710100000:33:015:0112
- Пропозиція від власника
- Без комісії
- Асфальтований заїзд
- Вдала інвестиція
- Біля лісу
- добрий день! Продам земельну ділянку у самому м.Луцьку. Площа 0, 5 га. На ділянці є готовий металевий каркас для будівництва складу, будівлі, з сендвіча або чого завгодно. Земля знаходиться у власності (не в оренді). Окремий в'їзд. Готові рампи. Всі питання можна поставити за номером телефону +XXXXXXXXXXXX
- Характеристика ділянки: Розташування: в населеному пункті
Оголошення неактуальне чи інформація неточна?
- Оголошення створене 4 лют. ·
- ID 32611766 ·
- Переглядів 0
- · Збережень в обране 0
Користується попитом на DIM.RIA
Вас можуть зацікавити
Інші типи нерухомості у Луцьку