


фото · 1 із 3

Дивитися всі фото
Дивитися на мапі
Продаж земельної ділянки комерційного призначення на вул. Євгена Маланюка, площа 5.89 сотки • ID 33702756
вулиця Євгена Маланюка
·
мікрорайон Микільська Слобідка
·
район Дніпровський
·
Київ
·
метро Лівобережна
235 000 $ за об'єкт · 9 924 050 грн · 39 898 $
за сотку
Перевірена ділянка
продавець надав документ про ділянку
Перевірено за кадастровим номером
Дата перевірки 12 лис.
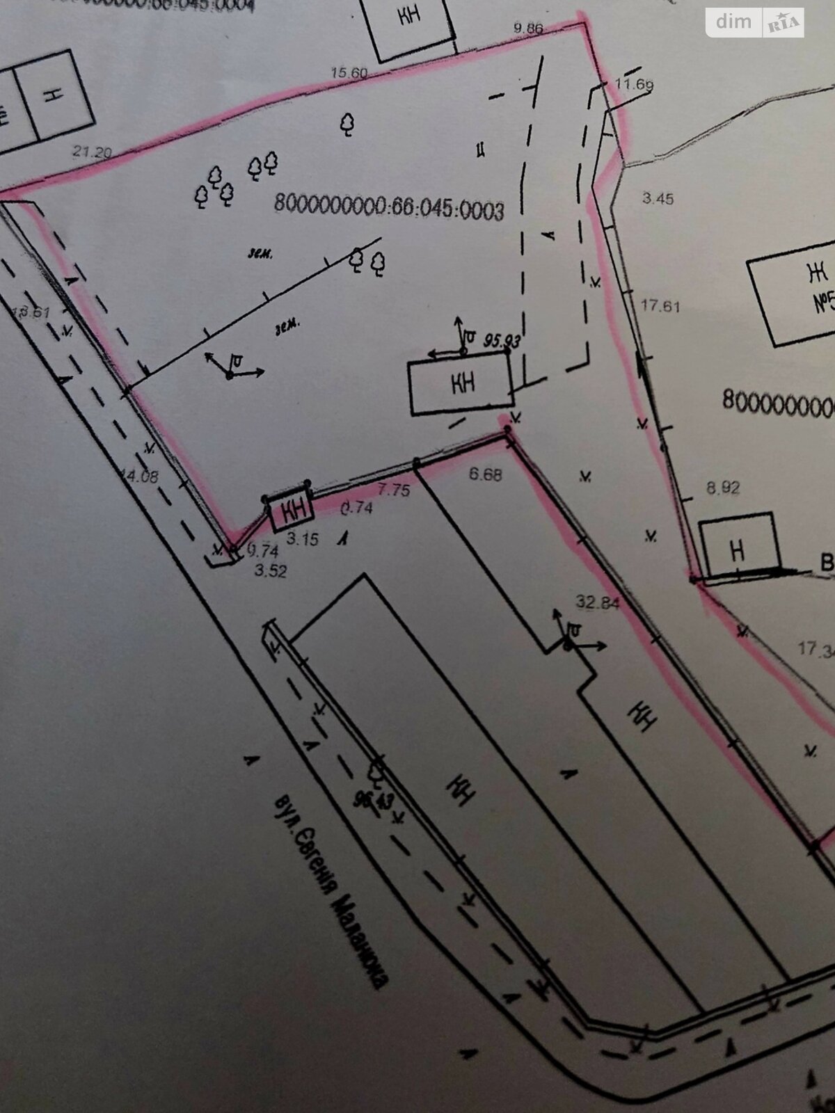
- Загальна площа 5.89 сотки
- Цільове призначення: під громадську забудову
- План меж земельної ділянки
- Пропозиція від представника забудовника
Опис від продавця
- Кадастровий номер 8000000000:66:045:0003
- Пропозиція від представника забудовника
- Без комісії
- Асфальтований заїзд
- Біля лісу
- Продаж земельної ділянки комерційного призначення по вул. Євгена Маланюка 59-в у Дніпровському районі м. Київ.
Цільве призначення ділянки - 03.07 для будівництва та обслуговування будівель торгівлі.
Зручне розташування дозволяє доступ до ділянки з різних вулиць.
Оперативний показ в зручний для вас час!
Без комісійних для покупця!
- На території є: персональна водойма: немає • паркан
- Характеристика ділянки: Розташування: в населеному пункті • рельєф: інший • грунт: змішаний
- Обладнання • меблі • зручності: електрика • вивіз відходів
Оголошення неактуальне чи інформація неточна?
- Оголошення створене 12 лис. ·
- ID 33702756 ·
- Переглядів 0
- · Збережень в обране 0
Користується попитом на DIM.RIA
Вас можуть зацікавити
Інші типи нерухомості у Києві