




фото · 1 из 5

Смотреть все фото
Продажа земельного участка сельскохозяйственного назначения на Без улицы, площадь 12 соток • ID 33689617
16 200 $ за объект · 685 260 грн · 1 350 $
за сотку
В процессе проверки
Сейчас DIM.RIA ждет данных от продавца
Продавец сообщил, что готов пройти проверку на DIM.RIA. Как только получим документы или видео об этом объекте – сразу все расскажем тебе.
- Предложение от посредника
Описание от продавца
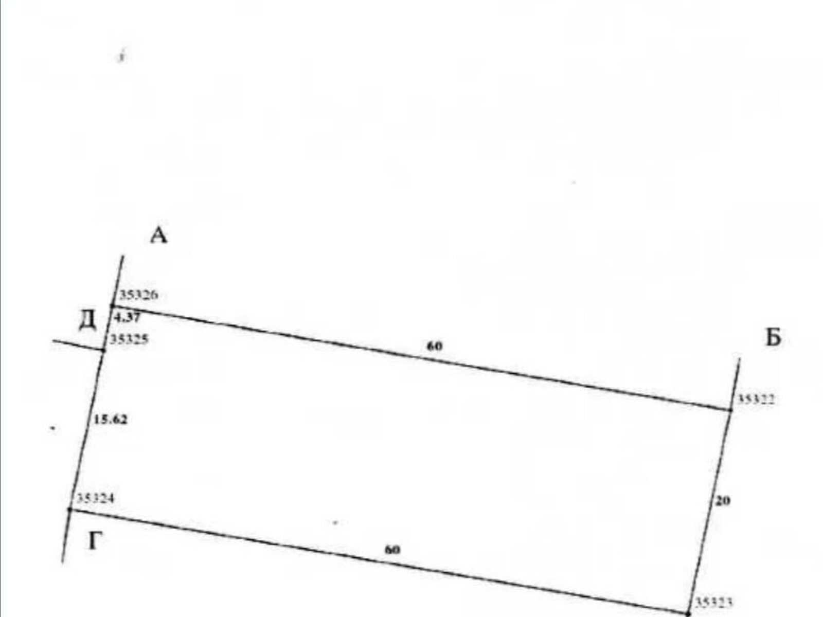
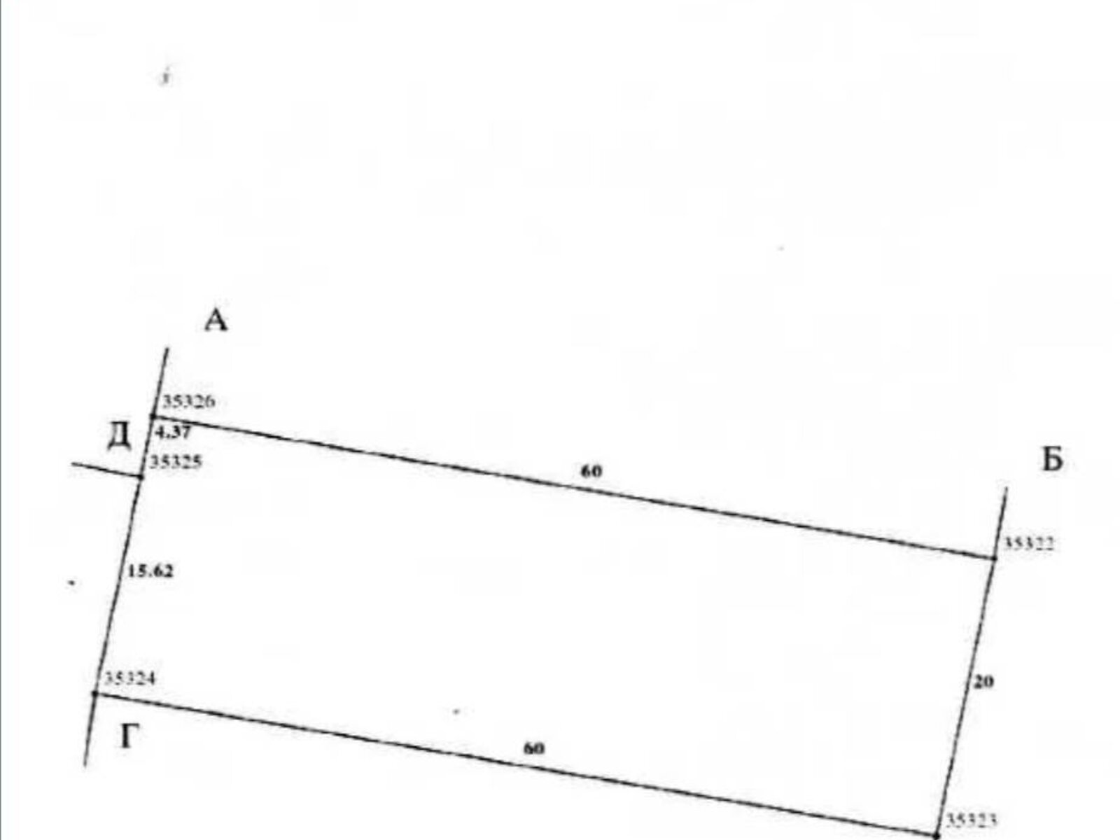
- Продается участок площадью 0, 1199 га в садоводческом обществе «Авангард-2». Участок правильной формы с фасадом 20м и глубиной 60м. Электроэнергия по улице. Целевое предназначение: 01.05 для индивидуального садоводства.
Посредникам, просьба не беспокоить.
ID объекта: 213530
Объект не такой, как в описании?
Расскажи нам, что не так – мы все проверим
- Объявление создано 6 ноя. ·
- ID 33689617 ·
- Просмотров 0
- · Сохранений в избранное 0